Sayfa yükleniyor

HABERLER

Ara

Duyuru…


Duyuru…

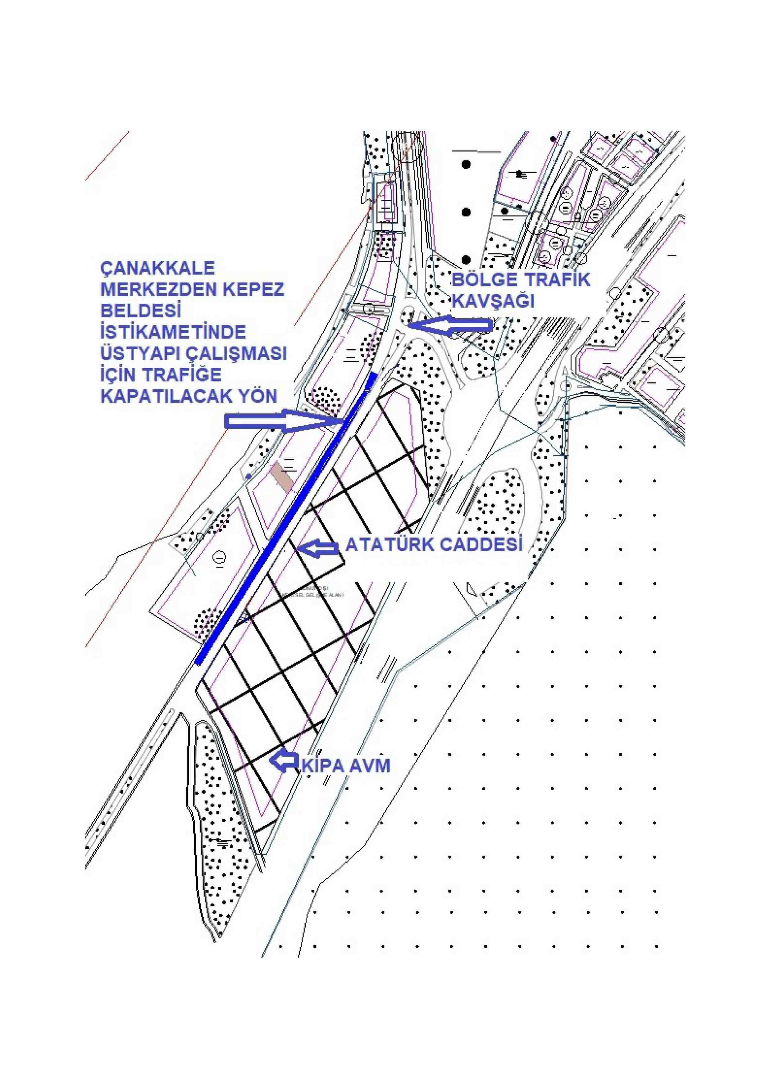
Çanakkale Belediyesi tarafından kentin ihtiyaç duyulan noktalarında başlatılan ve belirli bir program kapsamında ilerleyen altyapı ve üstyapı bakım-onarım ile yenileme çalışmaları devam ediyor. 

Bu kapsamda, 8 Temmuz 2019 Pazartesi günü Barbaros Mahallesi Atatürk Caddesi üzerinde Bölge Trafik Kavşağından Oto Kent Sitesi Kavşağına (Çanakkale Merkezden Kepez istikameti) gidiş yönünde çalışmalara başlanacak. Belirtilen bölgede 8-14 Temmuz 2019 tarihleri arasında gerçekleştirilecek olan çalışmalar kapsamında ilgili alan trafiğe kapanacak olup, diğer yönde tek şerit üzerinden gidiş-geliş şeklinde yönlendirme yapılacaktır.

Kentlilerimizin bilgisine sunar, çalışmalar süresince trafik işaret ve işaretçilerine dikkat etmelerini önemle rica ederiz. 



05.07.2019 16:41